Nov 13, 2024
THIS is where I hide the best stuff... and hey... there are lots of posts so go search the BLOG ARCHIVE - (͡° ͜ʖ ͡°)
A Bit About This Strange Little Project Of Mine
WE LOVE CAITLIN!💗💗💗
Journey into the Dreamtime
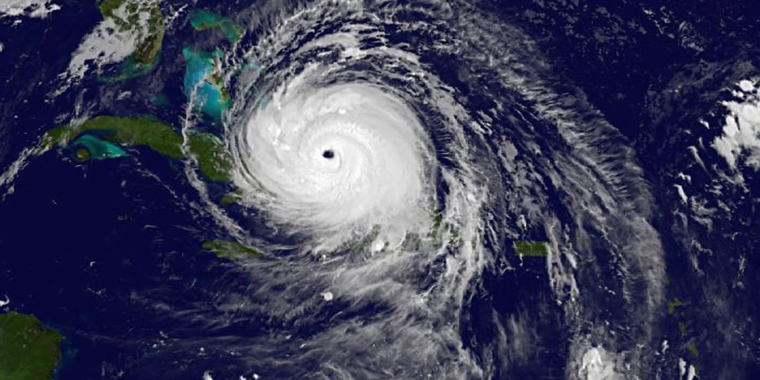
Scientists/Eugenecists - this is how they see the future
The Earth can support us - climate science is part of the programming to get us to be afraid... DO NOT BE AFRAID - resist fear! THE UN and other agencies are eugenicists... What they are not telling you, this is all a part of their campaign to "eliminate the useless eaters" - you and me ... TRACE
Can Earth Support a Human Future? Maybe, If the Rich Consume Less. (OH SURE)
Due to their extravagant habits, the richest 1 percent produces more greenhouse gas than half the global population.
- By Mike Ludwig ,Truthout

The latest study by renowned Dutch climate scientist Klaus Hubacek and his team offers an eye-opening look at the 1 percent’s extravagant consumer behaviors that — in combination with rampant militarism and the continued dominance of the fossil fuel industry — are pushing the Earth toward disastrous climate tipping points from which there might be no return.
Published last week in the journal Nature, the study found that the world’s richest 1 percent are responsible for a staggering 50 times more greenhouse gas pollution than the 4 billion people on the bottom half of the global economic scale combined.
Disparities are only growing. The global wealth gap has exploded over the past decade, according to the aid group Oxfam International. Since 2020, the world’s richest 1 percent has captured nearly two-thirds of all newly created wealth.
The United States and other wealthy fossil fuel economies are disproportionately responsible for the climate crisis compared to poorer nations, creating a constant source of tension at international climate talks. However, massive disparities in resource and energy consumption also exist within individual countries, and Hubacek’s study breaks an extensive dataset down to 201 “consumption groups” across 168 nations.
In the U.S. and many other wealthy countries, the environmental footprint left behind by the richest 10 percent dwarfs the footprint of the bottom 10 percent on the economic ladder, the study finds. The top 10 percent of consumers living in wealthy nations such as Germany or Luxembourg have vastly different consumption habits than the richest 10 percent in the Republic of Congo, for example, and the study goes beyond previous research to account for these disparities.
Hubacek, a professor at the University of Groningen and a lead author of the most recent United Nations climate report, has devoted his career to examining how humans are performing within what are known as “planetary boundaries.” Scientists use these planetary boundaries as frameworks to examine how much human exploitation the planet can absorb before the ecosystems we depend on collapse.
“The
basic calculation is, given a certain number of people on the planet
and the planetary boundaries, how much can we consume to stay inside
these limits?” Hubacek explained in a statement last week. (THAT IS THEIR BULLSHIT THEORY)
(In 60 years WATER HAS BEEN SEVERELY POLLUTED by BIG BIZ)
With 8 billion people living on Earth, we are burning through resources and accelerating climate disruption at a rapid pace. The study examines how different consumer groups contribute to key indicators such as climate change and carbon pollution emissions, fertilizer usage, land loss and system change, and freshwater consumption to gauge what needs to change before the planet is pushed to the brink.
The world’s top 10 percent of consumers were responsible for a whopping 43 percent of climate-warming carbon pollution, the study found. On a per capita basis, the environmental impacts of the top 10 percent were 4.2 to 77 times that of the bottom 10 percent, with large disparities in terms of climate-warming carbon emissions and the extinction of animal species.
Scientists determined in 2023 that humanity has already crossed six of nine observed “planetary boundaries,” overshooting the safe limits for human life in terms of carbon in the atmosphere, biosphere integrity and the availability of fresh drinking water. At this point, the rate of species extinction is estimated to be at least 10 times faster than the average rate over the past 10 million years, meaning that the planet’s genetic diversity has crossed over into the danger zone.
Even though many emissions result from institutions such as large militaries that would require government action to change (emissions that exist outside the sphere of individual consumer choices), the study emphasizes that the people with the most wealth and agency — higher-income people living in high-income countries — can make much more of a difference than everyone else. The study stresses that the choices made by those with the most privilege present both a threat to global ecological stability and an opportunity for change.
“Our results challenge the pessimistic view that reducing consumption requires a return to primitive lifestyles, showing instead that substantial environmental benefits can be achieved by moderating the consumption of the affluent,” the authors wrote.
If those with the most privilege were, en masse, to stop engaging in excessive travel on airplanes, excessive consumption of luxury goods and the consumption of red meat, the study suggests the results could be dramatic.
For example, if the top 10 percent adopted the consumption habits of the average European, or even the modest consumers within their own economic class, global pressure on the environment would decrease by 9 to 23 percent, and “overshoots” of the planetary boundaries would be mitigated by 18 to 81 percent.
For this reason, Hubacek’s team argues that new technology is not necessary to save the planet; rather, a massive, global sea change in the diet and lifestyles of top consumers would do the trick. The authors point to numerous studies showing that progressive taxes on luxury goods can start to curb overconsumption among the rich while funding environmental cleanup programs.
This is far from the first time scientists have warned that the rich people of the world are responsible for the most environmental damage. A global explosion of affluence over the past half-century has continuously increased pollution and gobbled up resources far more rapidly than advances in technology can keep up with.
Meanwhile, billionaires are building luxury doomsday bunkers and launching themselves into space as they fantasize about relocating to a different planet entirely if humanity happens to burn this one out. While Hubacek’s latest study shows that solutions to existential environmental crises are right in front of us, the authors are also sober about today’s political realities.
“Targeting affluent groups with mitigation measures may face resistance owing to their political power,” the authors wrote. “Bottom-up actions, which play a crucial role in cultural and value changesare vital for pushing top-down changes and establishing maximum consumption thresholds through democratic decision-making.”
THE RICH DO NOT CARE ABOUT YOU AND ME - they are inbred psychopaths...
The Screaming Mandrake
The Screaming Mandrake: Power, Potions and Witchcraft
Belonging to the nightshade family and found in the Mediterranean region, the mandrake has been known for centuries as one of the most powerful and potent of all plants. People originally believed that the mandrake had two forms; one male and the other female. Some botanists now think that these are two distinct species with…
Belonging to the nightshade family and found in the Mediterranean region, the mandrake has been known for centuries as one of the most powerful and potent of all plants. People originally believed that the mandrake had two forms; one male and the other female. Some botanists now think that these are two distinct species with the one known as the Autumn Mandrake native to the Levant area and the other Mandragora Officinarum found in the rest of the Mediterranean[1].

The name mandragora (mandrake in Middle English and Middle Dutch) is formed from man symbolising its resemblance to a miniature person and dragora or drake taken from the archaic word for dragon alluding to its magical powers[2].
A Powerful Poison
The medical properties of the mandrake were known to the Egyptians 6000 years ago. Egyptians called it ‘the water of life’ and used it to improve health, vigour and longevity. The mandrake was attributed with divine powers and placed in a visible corner of a dwelling. Vows were made to it and candles lit[3].

Mandrake plants contain hyoscine, an alkaloid which if too much is ingested causes hallucinations, delirium and even comas. Accidental poisoning could lead to various symptoms such as vomiting, diarrhoea, dizziness and blurred vision[4]. There were some positive benefits of medicinal mandrake such as the relief of rheumatic pains and eye infections and even as far back as AD60 the Greek botanist and physician Dioscorides wrote about its use as an anaesthetic. An anaesthetic mandrake root mixture which also contained opium, hemlock and ivy was used by surgeons well into the Middle Ages.
During the Roman period a mandrake infused wine or ‘death wine’ was also known to have been offered to those being crucified[5]. I suppose being drugged into a near coma made the tortuous punishment a little easier to bear.
For many it was the presence of this alkaloid together with the mandrake’s unusual shape that conjured up images of magic and power.
‘Love apple of the ancients’[6]

Mandrakes were also believed to be a powerful aphrodisiac (as long as the dosage was right otherwise the outcome would not have been so pleasant for either parties!). The Greek made a mandrake love potion by steeping the root in wine and vinegar and the plant became associated with the Greek goddesses Aphrodite and Circe (the goddess of sorcery) who used the potion to cast a spell over the Argonauts. In Arabic the mandrake is known as the Devil’s Apple and was believed to inflame a man’s love. It was also alleged that if a man carried the female-shaped mandrake in his pocket he would win the woman he desired.
‘Goe, and catche a falling starre, Get with a child a mandrake root’, John Donne[7]
The mandrake has long been linked to fertility probably because its shape reminded people of a human figure. Even in early illustrations it was drawn with a head, body and legs crossed.
One of the oldest references can be found in the Bible in Genesis, when Rachel desperate for a child asks her sister Leah for a loan of the mandrakes which her son, Rueben had harvested from the field as it was believed that eating the sweet smelling yellow fruits of the mandrake would imbue a person with sexual energy and fertility.
The mandrake could also act like an ancient test tube such as in the legend of King Hermones who wanted a male heir but was adamant in his refusal to have sex with women! The king ordered his advisors to find another solution. His astrologers, at an auspicious time took the king’s semen and placed it on a mandrake. Through alchemy a male-child was created much to the king’s delight [8].
Not only could the mandrake help to get a woman pregnant it was also used in childbirth. In order to make use of the mandrake’s power it had to be carefully looked after e.g. the root was placed on a plate and fed with milk or red wine on special days such as every Friday. The milk used to bathe the mandrake could then be fed to pregnant women. Some traditions suggest putting the mandrake under a woman’s bed in a plate full of milk mixed with breast milk. Both rituals were believed to ease childbirth and protect the mothers and babies. [9].
‘Would curses kill, as doth the mandrake’s groan’[10]
One of the most powerful legends concerns the deadly scream emitted by the mandrake when it was pulled out of the ground and how to avoid being its victim.
In Theophrastus’ treatise written in or around 230BC he explains how to pick the mandrake to avoid being bewitched. He advised drawing three circles around the plant with a sword of virgin iron and then facing west cut portions of the taproot. After cutting the second portion the picker must dance around the plant muttering incantations concerning the mysteries of love. The sword should only ever be used to cut a mandrake[11].
A later account written by the Roman Jewish historian Josephus (c.37 to 100AD) was the first to mention the use of a dog to extract the plant. He instructed the digger to dig around the root until the lower part was exposed. A starving dog should then be fastened by a rope to the mandrake root and then encouraged to pull out the plant by placing a piece of food just out of its reach. The scream of the mandrake would kill the dog instead of its master and the mandrake would then be safe to handle[12]. This practice of using a dog to remove the mandrake was still being used in the 13th century as witnessed by the Moorish herbalist Ibn al-Baitar. He wrote that the dog in this case survived the ordeal[13]. In Germany it was believed that the dog had to be completely black with no blemishes.

Other variations on how to extract the mandrake have come down to us. These include stuffing your ears with wax or earth and blowing a horn whilst pulling the mandrake out. Anything to drown out the mandrake’s screams. Pliny suggests using an ivory staff to dig around the mandrake, others advise placing crosses on the plant for protection against evil forces whilst the Roman writer Apuleius stated that on certain holy days an evil spirit would emerge to do the pickers’ bidding, similar to the genie in a lamp.
Some claimed that the legend of the screaming mandrake was invented by witches to stop ordinary folk from picking their precious plant[14]. Witches were believed to enter an alliance with the spirit of the mandrake. They would promise to care for the mandrake if the mandrake’s spirit would act as a vessel for other spirits and familiars. Offerings were made to the mandrake spirit on the night of a full or dark moon and a circle of salt drawn around the plant. A black dog was tied to the plant and food used as a lure. The mandrake was then covered by a cloth and placed in a special bag.
A more practical but less colourful explanation is that it was the squelching sound made by the mandrake when its fleshy roots was pulled out of the damp earth that was mistaken for a screech.
The Little Gallow’s Man

Myths also arose relating to where mandrakes could be found. In Welsh folklore mandrakes were found at crossroads. Crossroads were associated with supernatural and dark forces and it was here criminals were often hanged and buried along with others who could not be interred on consecrated ground.
Crossroads and gallows were known to be popular places for the gathering of herbs for a witches brew and so the link between mandrakes, gallows and witchcraft was widely accepted. The ground where a gallows was placed was seen as contaminated by the blood or semen of the hanged. Some stories stated that it had to be semen from innocent men who with the help of a witch were given a second chance at life as a mandrake whilst others claimed that they were formed from the tears and blood of the fallen innocent. In Iceland the mandrake was known as Thjofarot or Thiefs’ root and it was believed to grow where the froth from a hanged thief’s mouth fell[15].
Talismans and Charms

Mandrakes became popular as talismans and good luck charms. They were thought to bring wealth, popularity and the ability to control one’s own and other people’s destinies[16]. It was believed that King Solomon wore a mandrake root seal which enabled him to gain sovereignty over souls.
The powers of the mandrake seem to be limitless such as making a person invisible, healing domestic animals, changing the weather, guiding a person to hidden treasure, transmitting diseases and allowing its owner to tell fortunes.
Mandrakes could also protect a family as well as individuals. Sprinkled with blessed water and salt mandrakes were buried near the front door to protect the households from intruders and evil spirits.
In Germany the trade in mandrake talismans flourished as they rose in popularity and were worth their weight in gold. Often roots of other plants were carved to look like mandrakes in order to meet the increased demand. People took painstaking care of their mandrakes wrapping them in white cloth, tying it with golden rope and placing them in special boxes or bags of pure silk[17]. In Germany the talismans were passed down to the youngest son.
Although mandrake charms were at first ignored by the ecclesiastical authorities the scale of their popularity eventually started to worry the Church. Wearers of the charms were accused of invoking demons and tried for witchcraft. In 1603 in Romorantin, France the wife of a Moor was hanged as a witch for keeping a familiar in the form of a mandrake and in 1630 three women in Germany were executed for possessing mandrake talismans. Although this was not the first time that the church took exception to mandrake talismans e.g. in 1431 during her public interrogation Joan of Arc was asked whether she was had a mandrake figurine to which she replied ‘I have no mandrake, and never had one,’ [18] the increasing hostility of the church did dampen public enthusiasm for the charms. Trouble was that giving away a mandrake charm was not easy as they had a habit of returning unaided to their owners.
Up Up And Away!

Witches on brooms, flying high above the ground silhouetted against the moon is an image most of us grow up with but this was not always the case. In earlier traditions witches were believed to be able to fly on just about anything including kitchen utensils and furniture. It was only later that witches were linked to brooms.
The famous witches’ brew was made from deadly nightshade, henbane, devil’s snare and of course mandrake. Such a concoction was obviously lethal and so could not be ingested. It had to be placed somewhere where the user could get the maximum effect without dying. There are only two places on the body which are suitable; the armpits and the genitals. Women’s clothing at the time would have made it extremely difficult to smear the ointment on their armpits so they were left with only one alternative. In order to reach far enough inside the vagina an appropriate implement was needed and so they used a tool which was easily available – a broom handle[19].
Historical evidence can be found for the use of the broomstick. On being arrested for witchcraft and the killing of her husband in 1324, a broom with the tip coated in a strange substance was found in the cupboard of Lady Alice Kyteler[20].
The medieval chronicler of witches Jordanes de Bergamo in the 15th century stated that he had heard witches confess to using brooms to insert a potion into their ‘hairy places’[21] which enabled them to fly. Giovanni Della Porta in the the 16th century confirmed that he had witnessed a woman who had applied the brew to her body state that she ‘had passed over both seas and mountains’[22] and the ‘witch’ Antoine Rose testified that she had smeared a potion given to her by the devil onto a stick which she had then straddled shouting ‘Go, in the name of the devil, go!’[23]
Since the ointment contained ingredients which are known to cause intense hallucinations it is not surprising that the women believed they were flying, what is more remarkable is that more of them did not poison themselves before they were arrested and executed.
The English Mandrake
Although the power of the mandrake was well-known in Britain they were expensive and difficult to obtain and so people began to look around for cheaper substitutes. Carvers of mandrake charms saw the large root of the white byrony (a climbing plant belonging to the gourd family) as a perfect alternative. Known as the English Mandrake these counterfeit mandrakes were carved to represent the human body with wheat and grass used to represent pubic hair. Not everyone was convinced by the power of the English Mandrake, Dr William Turner denounced the superstition stating that people ‘are thus deprived both of their wits and money’. These views did not seem to have damaged their popularity as the charms were considered valuable heirlooms and left as bequests in wills.

In Jean-Baptiste Pitois’ book ‘The History and Practice of Magic’ he describes how to make a powerful charm from the root of the byrony plant[24].
- Take it out of the ground on a Monday (preferably the day of the moon) a little time after the vernal equinox.
- Cut the ends of the root.
- Bury it at night in a country churchyard in a dead man’s grave.
- For 30 days water the plant with cow’s milk in which three bats have drowned.
- On the 31st day take out the root in the middle of the night and dry it in an oven heated with the branches of the verbena plant.
- Then wrap it in a dead man’s winding sheet and carry it with you everywhere.
Even in the early years of the 20th century the confusion between the byrony and the mandrake persisted. A story told in Warwickshire claims that in December 1908 a man employed in digging a garden half a mile from Stratford upon Avon cut out the large root of a white byrony plant. Mistaking it for a mandrake he stopped working claiming that it was bad luck to cause damage to them. A few days later he fell down some steps and broke his neck[25].
Although not quite as potent as the mandrake the white byrony it can cause nausea, vomiting, anxiety, paralysis and death[26] so it is not really surprising that it came to be viewed with the same mixture of respect and fear.
An Unbreakable Cord
The reputation of the mandrake affected one of the other members of its family, the tomato. Early herbalists associated the tomato with the mandrake and so in the 18th century instead of being eaten people preferred to grow them as ornamental plants[27]. Potatoes were also initially viewed with suspicion, luckily for the sake of the humble chip and roast dinners people eventually overcame their fears.
The myths surrounding the link between the mandrake and witchcraft are numerous. It was believed that if a witch made love to a mandrake root they produced offspring which couldn’t feel real love and possessed no soul[28]. Many of the stories contradict each other but they do show how over the centuries the mandrake has been seen as a powerful and dangerous supernatural tool. Even though today getting hold of a mandrake is much less hazardous, being available online and even on eBay, the plant’s link to witchcraft remains unbroken as it still plays an important role in modern witchcraft.

!!HAPPY HALLOWEEN!!
Bibliography
Mandrake, https://en.wikipedia.org/wiki/Mandrake
Bryonia Dioica, https://en.wikipedia.org/wiki/Bryonia_dioica
The plant that can kill and cure, https://www.bbc.co.uk/news/magazine-33506081
Mandrake, https://www.britannica.com/plant/mandrake-Mandragora-genus
The History and Uses of the Magical Mandrake, According to Modern Witches, https://www.atlasobscura.com/articles/the-history-and-uses-of-the-magical-mandrake-according-to-modern-witches
Mandragora autumnalis, https://en.wikipedia.org/wiki/Mandragora_autumnalis
How to harvest a mandrake, http://blogs.bl.uk/digitisedmanuscripts/2017/12/how-to-h arvest-a-mandrake.html
Herb Analysis: Mandrake, greatest ally of witches, https://www.magicalrecipesonline.com/2015/10/herb-analysis-mandrake-ally-of-witches.html
Rare occult herbs: Mandrake, https://www.groveandgrotto.com/blogs/articles/rare-occult-herbs-mandrake
The Magic of Mandrake, http://www.thewisemag.com/mystery/the-magic-of-mandrake/
Why Do Witches Fly on Brooms?, https://www.iflscience.com/health-and-medicine/why-do-witches-fly-brooms/
The Fascinating Reason Witches are Commonly Depicted Flying on Broomsticks, http://www.todayifoundout.com/index.php/2014/10/witches-fly-broomsticks-2/
Myths and mandrakes, https://www.ncbi.nlm.nih.gov/pmc/articles/PMC539425/
Fantastically Wrong: The Murderous Plant That Grows From the Blood of Hanged Men, https://www.wired.com/2014/06/fantastically-wrong-mandrake/
Trial of Joan of Arc, https://en.wikipedia.org/wiki/Trial_of_Joan_of_Arc
Alarune, https://en.wikipedia.org/wiki/Alraune
The Solanaceae II: The mandrake (Mandragora officinarum); in league with the Devil, Mr Lee, https://www.rcpe.ac.uk/sites/default/files/w_lee_2.pdf
Plants of Life, Plants of Death, Frederick J. Simoons, 1998
An ABC of Witchcraft Past and Present, Doreen Valiente, 1973
Executing Magic in the Modern Era: Criminal Bodies and the Gallows in Popular Medicine, Owen Davies and Francesca Matteoni, 2017
Henry VI Part 2, William Shakespeare
Notes
[1] Mandrake
[2] The Solanaceae II: The mandrake (Mandragora officinarum); in league with the Devil
[3] The Magic of Mandrake
[4] Myths and Mandrakes
[5] The Magic of Mandrake
[6] Myths and Mandrakes
[7] Ibid
[8] Plants of Life, Plants of Death
[9] Herb Analysis: Mandrake, greatest ally of witches
[10] Shakespeare, Henry VI Part 2
[11] The Solanaceae II: The mandrake (Mandragora officinarum); in league with the Devil
[12] Mandrake, Wikipedia
[13] The plant that can kill and cure
[14] Mandrake
[15] The Magic of Mandrake
[16] Myths and Mandrakes
[17] The Magic of Mandrake
[18] The Trial of Joan of Arc
[19] Why do witches fly on brooms?
[20] ibid
[21] ibid
[22] The Fascinating Reason Witches are Commonly Depicted Flying on Broomsticks
[23] ibid
[24] Mandrake, Wikipedia
[25] Myths and Mandrakes
[26] Bryonia Dioica
[27] The plant that can kill and cure
[28] Alarune
Sine Wave
👀
A RARE SINE WAVE IN THE MAGNETOSPHERE: Imagine you're at a hard rock concert. Waves of heavy metal crash against your eardrums, you can barely hear a thing, when, suddenly, the delicate trill of a flute cuts through the cacophony.
Something like that happened to Stuart Green of Lancashire UK during the severe geomagnetic storm of Oct. 10, 2024. "My backyard magnetogram was a riot," says Green. "But when I took a closer look, there was a delicate wave riding on top of the 'noise.'"
Green detected a rare "pulsation continuous"--or "Pc wave" for short. This is research jargon meaning, essentially, a pure sine wave in the magnetosphere. Pc waves are classified into 5 types depending on their frequency. Green's specimens are Pc1 and Pc2.
Usually, Pc waves are recorded only during periods of extreme quiet. They are delicate and hard to detect. Capturing one during riotous geomagnetic activity is extremely unusual. It is a testament to the sensitivity of Green's research-grade (albeit homemade) magnetometer--and the degree to which every mode of the magnetosphere was simultaneously activated by the Oct. 10th storm.

Zooming into Green's data shows the 7-to-8 second regularity of the waves
So what? These particular waves matter because they can help satellites survive severe space storms. Fast Pc1 and Pc2 waves scatter "killer electrons" out of the Van Allen radiation belts, making the region safer for satellites that orbit through the belts when they are supercharged by solar activity.
Would you like to monitor the magnetosphere for rare waves? Stuart Green's backyard magnetometer is a great DIY project. Here are his instructions.German Gov't Admit There Was No Pandemic
Baxter Dmitry April 2, 2024
Thanks for reading The Most Revolutionary Act! Subscribe for free to receive new posts and support my work.
Huge news out of Germany as the federal government have been forced to admit that so-called “conspiracy theorists” were right about everything during the Covid pandemic.
In fact, according to the German government data, there was no pandemic at all, just a tightly choreographed military grade psy-op to brainwash the masses into accepting an experimental vaccine with disastrous consequences.
These secret German government documents obtained via a Freedom of Information request and subsequent lawsuit have blown the lid of the global elite’s Covid lies and the it’s vitally important that as many people as possible are made aware of the truth.
Before we dive in, subscribe to the channel if you haven’t already, and join the People’s Voice Locals community to join our incredible community and support the channel.
More and more people all over the world are waking up and seeing the global elite for what they always have been: deranged psychopaths hell bent on destruction and domination.
Germany is no different. The German population suffered some of the most brutal lockdowns and vaccine mandates in all of Europe and now the people are rising up and demanding accountability.
Step forward Paul Schreyer and Multipolar magazine who launched a Freedom of Information request and then launched a lawsuit against the German government when they tried every trick in the book to keep the secret documents under lock and key.
As Professor Steven Homburg explains, the results are stunning, and represent total vindication for everyone who dared to question the narrative of lockdowns and mask and vaccine mandates.
The secret government documents – all 2,000 pages of them – reveal that we were right about nearly everything and the so-called “pandemic” was all fraud.
These facts are damning and prove the official narrative about Covid, pushed by world governments and mainstream media, is completely bogus.
Which makes the tyranny we experienced during the so-called pandemic even harder to swallow, as Professor Homburg explains.
The data also reveals that Sweden, which was the only European country free of masks and lockdowns, performed much better than Germany. Which raises the question, what were the tyrannical lockdowns and mandates really about?
Professor Homburg has the answer – and as it turns out, we were right all along.
Breaking down vaccine hesitancy through brutal lockdowns was always the goal of the global elite. Unfortunately, for those who did not see through the psy-op at the time, the health consequences are dire. Serious questions must be asked.
Unfortunately for the vaxxed, the bad news doesn’t end there. Japanese researchers have linked Covid vaccines to hundreds of diseases.
While a new study out of the US has found that those who have been vaccinated and boosted can expect to meet their maker far sooner than they would have expected.
A disturbing new study has revealed that people who have been “fully vaccinated” with Covid mRNA injections can expect to lose a staggering 25 years from their life expectancy.
Researchers analyzed data from the CDC, Cleveland Clinic Data, and insurance company risk assessment data and uncovered a disturbing trend of plummeting life expediencies among those who had multiple doses of mRNA.
Unfortunately for the vaxxed, the news gets even worse. The chronic damage to health caused by each dose of mRNA does not lessen over time, as previously believed.
In reality, the negative health effects appear to continue indefinitely.
According to the researchers, CDC All-Cause Mortality data reveals that each jab increased mortality by 7% in the year 2022 compared to the mortality in 2021.
This means that people who have had 5 doses – that’s two doses and three boosters – were 35% more likely to die in 2022 than they were in 2021.
Correlating with the German information, the study also confirmed that people who are not vaccinated were no more likely to die in 2022 than in 2021.
These numbers are damning. But anybody paying attention can see that something is very wrong with the vaccinated. They are dropping like flies with heart problems and turbo cancer all over the world.
Professional athletes are supposed to be among the healthiest people on the planet but in the past few years thousands have collapsed with sudden and inexplicable heart conditions.
Fully vaccinated professional athletes are continuing to drop like flies, with four professional soccer players have collapsed suddenly, clutching their hearts, in the last week alone.
Egyptian star Ahmed Refeat became the third professional soccer play to suffer cardiac arrest in front of live TV cameras, with doctors later admitting they “hadn’t seen something like this before.”
Orlando Pirates midfielder Makhelene Makhaula was the second football star to collapse on the field this week, as medical staff were seen desperately attempting to revive the South African star.
Listen as the stunned announcer admits, in his own words, that footballers are dropping like flies all over the world since the vaccine roll out.
On Sunday in the Argentinian top flight, Estudiantes’ Javier Altamirano suffered a seizure and collapsed suddenly in the big match against Boca Juniors, one of the biggest clubs in South America.
It’s not just professional athletes dropping like flies. People from all walks of life, including popular social media influencers, are being struck down with heart conditions and rare forms of cancer at unprecedented rates.
[…]
Via https://thepeoplesvoice.tv/german-govt-admits-there-was-no-pandemic/
LINKS
I GOT LOTS TO READ👇
A plant that is "both ghost and vampire."
Victorian era swapping.
The practice of feeding the dead to vultures.
Railway travel in 19th century France.
Mexico's "back door to Hell."
Why "Fido" became a popular dog name.
Rules for medieval anchoresses.
Ancient fortune-telling tools.
A genealogist goes rogue.
Scary medieval animals.
Scary medieval witches.
The range of mystical experiences.
Drunken ghosts! Cannibal ghosts!
Julius Caesar vs. the pirates.
Humans aren't the only ones who like to tie one on.
When numbers were tactile.
Why ghosts aren't usually naked.
An alien abduction case in Los Angeles. (A caveat: I live in L.A., and it's often hard to tell the extraterrestrial visitors from the native residents. Just FYI.)
An alien abduction case in New York.
We see them here, we see them there, we see those damned ghosts everywhere.
A visit to the UK's most haunted castle.
A wild story about a royal dentist.
The piece of cheese that nearly destroyed a rocket test.
October 31 is more than just Halloween.
Mark Twain's haunted house.
A brief history of palm reading.
A brief history of the muses.
The grim side of Victorian humor.
A memorial to librarians who died during WWI.
The strange case of the vanishing police chief.
More evidence that we've been underestimating Neanderthals.
A diplomatic incident, 1600.
A previously unknown Chopin piece has been discovered.
Victorian scientists were fascinated by ghosts.
Ancient Mesopotamians were fascinated by beer.
The Harvard astrophysicist who's fascinated by alien wreckage.
Maybe we shouldn't meditate. (And don't even talk to me about hypnosis. I know someone who was really screwed up by that crap.)
A brief history of the word, "scary."
The skeleton that confirmed a Norse saga.
Why smugglers used to love ghost stories.
Subscribe to:
Comments (Atom)
oh yeah...
Trace's book
-
Dean Henderson and Jeff discuss current events and take a whack at the global oligarchy. Check out more info from Jeff Rense at Alt News ...
-
Burt Bacharach, Music artist Co-author (with lyricist Hal David) of an extensive string of hits in the '60s, Burt Bacharach is one of...





